Homepage > Koh samui Tours > Koh samui Tours Details
Duration: 1 day (08.00-15.00)
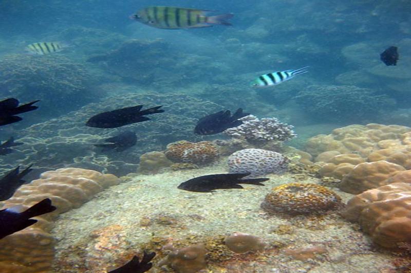
Niet te vroeg vertrekken we vanuit je hotel, om met een typisch Thaise longtailboot in de richting van de `buureilanden` van Koh Samui, Koh Tan en Koh Matsum (Varkenseiland) te varen.In de ochtend bezoeken we de omliggende koraalriffen van Koh Tan waar we gaan snorkelen (incl. snorkeluitrusting). Zie hoe fascinerend het onderwaterleven hier is. Een grote variatie aan vissen en koralen staan je hier te wachten. Na alle indrukken van Koh Tan varen we naar Koh Madsum waar je de gelegenheid krijgt om te zwemmen met varkens.
Pig Island is oorspronkelijk bekend als Koh Matsum, het is een klein stukje paradijs voor de kust van Koh Samui. Op het eiland woont Mr. Kitt, hij runt samen met zijn vrouw en gezin een kleine strandbar op het eiland. Een paar jaar geleden nam hij vier biggetjes mee. Het oorspronkelijke gezin is nu een gelukkig gezin van 12 varkens. In totaal drie generaties. Ze brengen hun tijd door met dutten in de schaduw onder grote kokospalmen, afkoelen in de oceaan en spelen met eilandbezoekers. Als de varkens onze gids horen roepen, komen ze aanrennen omdat ze weten dat we hun favoriete snacks, maïs en watermeloen meebrengen!
Gewoon een heerlijke dag op het water, het is genieten van zee - zon en strand en vriendelijke varkens.
We varen weer terug naar Koh Samui. Na aankomst op Thong Krut strand genieten we hier een lekkere Thaise lunch.
Geheel voldaan transfer terug naar je hotel op Koh Samui.
Voor organisatorische redenen gaan we soms eerst naar Koh Matsum (Varkens-eiland) en daarna naar Koh Tan om te snorkelen.
Wat kan ik verwachten
De perfecte combinatie, tropische eilanden en zwemmen met varkens.
Voorwaarden
Vermelde maaltijd, een lokale lunchbox en drinkwater.
Omschreven transfers (alleen vanaf centraal gelegen Koh Samui hotels).
Excursies als omschreven in de reisbeschrijving.
Snorkeluitrusting en zwemvesten (geen vinnen).
Begeleidt door een lokale Engelssprekende gids.
Vervoer per airconditioned minibus en diverse open boten.
Onze Persoonlijke Zorg en Attentie.
Overige maaltijden, fris en alcoholische drankjes.
Transfers van andere Koh Samui hotels.
Persoonlijke uitgave en facultatieve excursies.
Entree gelden voor Nationale Parken - betaal contant 50THB/pp.
Opmerkingen:
Reviews
Populaire Green Wood Travel tours




























